분양가가 확정됐는지부터, 일반분양 물량이 어느 정도인지부터 먼저 확인하시는 것이 좋습니다. 그다음은 “주변 신축 분양가”와 “문래권 실거래 시세”를 기준점으로 삼아 비교하시면 흐름이 정리됩니다.
마지막으로 가점·특별공급에서 당락이 갈리는 지점이 생기는데, 이 부분에 따라 준비 순서가 달라질 수 있습니다. 오늘은 그 흐름대로 더샵 르프리베 분양가를 중심으로 공식 근거 + 비교 수치 + 사례까지 한 번에 정리합니다.
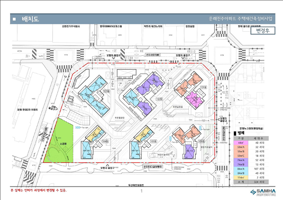
1. 단지 한눈에
문래진주아파트 재건축으로 공급되는 신축 단지이며, 사업개요에 단지 규모와 공급계획이 공개돼 있습니다.
총 세대수, 층수, 용적률·건폐율처럼 변동 가능성이 낮은 항목을 먼저 확인하시면, 이후 비교가 훨씬 수월해집니다.
또한 더샵 르프리베 분양가는 아직 모집공고 전 단계이므로, 지금은 ‘확정 분양가표’가 아니라 ‘비교 예상’ 관점에서 살펴보시는 편이 좋습니다.
| 항목 | 내용 |
|---|---|
| 위치 | 영등포구 문래동5가 22번지 일대 |
| 규모 | 지상 21층 / 지하 3층, 6개동 |
| 총 세대수 | 324세대 |
| 건폐율·용적률 | 26% · 299% |
2. 더샵 르프리베 평형·타입 구성
공식 배치도에는 타입별 세대수가 표기돼 있어, 어떤 타입이 단지의 중심인지가 비교적 분명하게 보입니다.
또 단위세대 평면도는 타입별 기본형·확장형 개념을 함께 보여주기 때문에, 실제 생활 동선을 가늠하는 데 도움이 됩니다.
여기서는 세대수 중심으로 물량이 많은 타입을 먼저 확인해, 관심 타입의 경쟁 강도를 대략적으로 잡아보겠습니다.
| 전용 타입 | 총 세대수(배치도 표기) |
|---|---|
| 44 | 40 |
| 59A/B/C | 32 / 20 / 18 |
| 74A/B | 52 / 13 |
| 84A/B | 107 / 40 |
| 114 | 2 |
3. 일반분양 물량
분양 플랫폼에서는 “공급규모 138세대(분양예정)”로 표시되는 경우가 많습니다. 다만 타입별 일반분양 세대수는 보통 입주자모집공고에서 최종 확정되므로, 현재 단계에서는 총량을 기준으로 판단하시는 편이 안전합니다.
따라서 일반분양 전략은 ‘138세대라는 총량’을 바탕으로, 가점 및 특별공급 가능성을 먼저 점검하는 순서가 이해하기 쉽습니다.
| 구분 | 지금 확인되는 내용 |
|---|---|
| 일반분양 총량(통상 안내) | 138세대(분양예정 표기) |
| 공식 사업개요 핵심 | 총 324세대, 분양/임대 공급계획 항목 존재 |
| 예시(의미) | 일반분양 물량이 적으면, 비슷한 점수대에서도 체감 경쟁이 더 커질 수 있습니다. |
4. 더샵 르프리베 청약 일정 흐름
현재는 “2026년 3월 분양예정”으로 안내되는 자료가 확인됩니다. 청약에서는 접수일 자체보다, 공고문이 공개되는 시점이 더 중요한 기준점이 되는 경우가 많습니다.
공고문이 공개되는 순간 전매·대출·가점/추첨 비율·특별공급 물량이 함께 확정되기 때문입니다.
| 단계 | 무엇을 확인하나 |
|---|---|
| 모집공고 확인 | 한국부동산원 / 청약홈 |
| 특별공급 접수 | 유형별 자격/소득·자산/우선공급 규칙 |
| 1순위 접수 | 가점제/추첨제 비율, 지역우선 조건 |
| 사례 | 옵션이 ‘포함’인지 ‘별도’인지에 따라 체감 분양가가 달라질 수 있습니다. |

5. 주변 ‘최근 분양’ 비교
최근 분양 단지는 공급금액(분양가)이 공개돼 있어 비교가 상대적으로 수월합니다. 또 분양권 실거래 평균이 확인되면, 시장이 그 분양가를 어떻게 받아들였는지도 간접적으로 파악할 수 있습니다.
이 구간은 더샵 르프리베 분양가의 체감 높낮이를 판단할 때 기준이 되기 쉽습니다.
| 비교 단지 | 분양가·분양권 실거래 핵심 |
|---|---|
| 영등포자이디그니티 | 59 분양가 8.58~8.69억, 84 분양가 11.66~11.79억 / 59B 분양권 실거래 평균 15.2억 |
| e편한세상당산리버파크 | 51A 10.845억, 59A 14.423억, 59B 14.098억 / 51A 분양권 실거래 평균 9.8637억 |
| 사례 | 분양가가 높아 보이더라도, 입주권·분양권 거래가가 뒷받침되면 해석이 달라질 수 있습니다. |
6. 청약 가점·당첨선 감 잡기
민영 일반공급은 보통 가점(무주택기간·부양가족·통장기간)을 중심으로 당락이 갈리는 경우가 많습니다.
따라서 본인 점수를 계산한 뒤, 주변 단지의 당첨가점 숫자와 비교해보시면 현실적인 기준선이 잡힙니다.
| 비교 기준 | 숫자 예시 |
|---|---|
| 가점 구성(민영) | 부양가족(35) + 무주택기간(32) + 통장가입(17) |
| 당첨가점 예시(양평) | 영등포자이디그니티 59A 69점, 84B 69점 등 |
| 당첨가점 예시(당산) | e편한세상당산리버파크 51A 67점, 59A 74점 |
7. 특별공급
특별공급은 유형별로 소득·자산·무주택 요건이 다르고, 같은 유형 안에서도 우선공급·추첨 규칙이 달라질 수 있습니다. 따라서 “신혼/생애최초/다자녀 중 어떤 유형이 가능한지”를 먼저 좁히면, 일반공급의 가점 경쟁과는 다른 선택지가 생길 수 있습니다.
이때도 더샵 르프리베 분양가와 함께, 중도금·대출 가능 범위를 같이 확인해두시면 흐름이 정리됩니다(세부 규정은 공고문 기준으로 확정).
| 유형 | 핵심 체크 |
|---|---|
| 신혼부부·생애최초 | 소득 기준/우선공급·잔여공급 규칙 |
| 다자녀·노부모 | 우선공급(소득기준) + 추첨공급(잔여) 구조 |
| 제도 근거(개요) | 특별공급·우선공급·일반공급 틀 확인 |
8. 자금 계획에서 꼭 보는 3가지
분양가가 확정되면 계약금–중도금–잔금 흐름이 동시에 현실적인 계획이 됩니다. 특히 규제지역 여부, 대출 조건, 전매·실거주 관련 조건은 시기별로 달라질 수 있어 공고문이 기준이 됩니다.
| 항목 | 확인 포인트 |
|---|---|
| 계약금 | 비율(예: 10%/5% 등) 공고문 표기 |
| 중도금 | 대출 가능 여부·조건, 금리·보증 조건(분양 조건에 따라 상이) |
| 잔금 | 입주 시점·전세/실거주 계획에 따라 현금 부담이 달라질 수 있습니다. |
” 더 많은 금융, 부동산, 재테크 정보가 궁금하다면 아래 글도 참고해 보세요. “
9. 확인용 정리
공고문이 공개되는 날에는 정보가 한꺼번에 정리되기 때문에, 무엇부터 확인할지 순서를 잡아두는 것이 중요합니다. 이 순서를 미리 정해두시면, 가격표가 공개되는 순간에도 판단이 훨씬 빨라집니다.
마지막으로 더샵 르프리베 분양가는 비교단지(양평·당산) 수치와 함께 놓고, 본인의 자격과 자금 조건에 맞춰 결론을 정리하시는 흐름이 자연스럽습니다.
| 우선순위 | 확인 항목 |
|---|---|
| 1 | 공급금액(분양가) + 옵션 포함/별도 |
| 2 | 타입별 일반분양/특별공급 세대수 |
| 3 | 가점/추첨 비율 + 지역우선 조건 |
| 4 | 전매·대출·거주의무 등 조건(공고문 기준) |